Ciencia y Saludmiércoles, 15 de octubre de 2025
Corales de Oaxaca tardarían dos décadas en recuperarse tras impactos del cambio climático
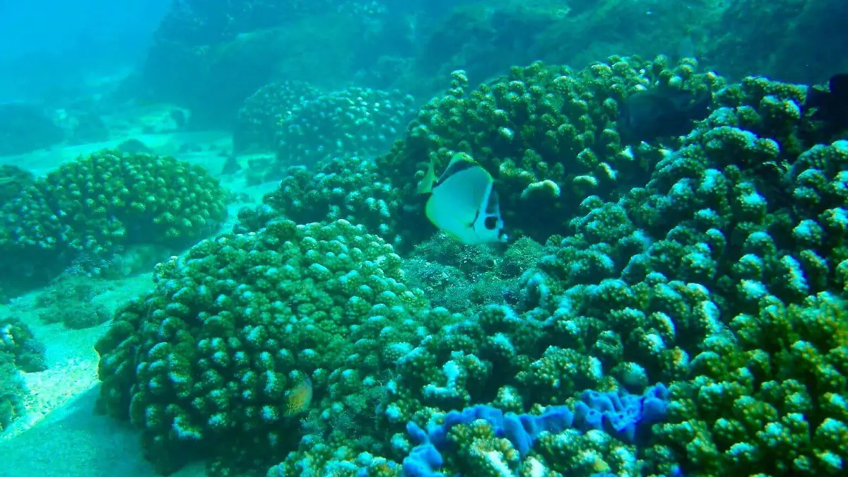
La cobertura de coral en el Parque Nacional Huatulco disminuyó en más del 80 por ciento tras un blanqueamiento masivo que ocurrió en 2023
Un santuario marino
Monitorear el impacto
Rumbo a la recuperación




