Toggle Menu
Ciudad de Mexico, 8 de enero de 2026
Ver más periódicos
México
Metrópoli
Mundo
Finanzas
Análisis
Cartones
Gossip
Cultura
Tendencias
Ciencia y Salud
Turismo
Juegos
huracán Genevieve
18 de agosto de 2020
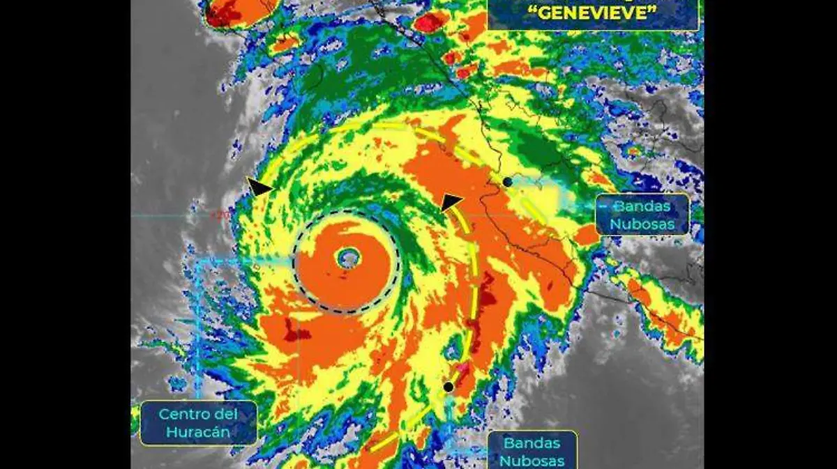
Huracán Genevieve se degrada a categoría 3
18 de agosto de 2020
Más de 8 millones de mexicanos en riesgo por huracán Genevieve
#
A
B
C
D
E
F
G
H
I
J
K
L
M
N
O
P
Q
R
S
T
U
V
W
X
Y
Z
LO+VISTO
1
GOSSIP
Primer concierto de rock gratis de CDMX en 2026: estos son los grupos que tocarán
2
MÉXICO
Huelga en Monte de Piedad: ascensos frenan la negociación
3
METRÓPOLI
Edomex amplía subsidio a la tenencia 2026 y condona impuestos vehiculares
LOÚLTIMO
MÉXICO
PRI acusa a Morena de frenar apoyo militar estadounidense para combatir al narco
MUNDO
Venezuela libera “número importante” de presos políticos, incluidos extranjeros
METRÓPOLI
Línea B del Metro suspenderá servicio en su tramo elevado
MÉXICO
Periodista mexicano Julián Mazoy, detenido en Venezuela, es liberado y deportado