Locallunes, 6 de enero de 2025
Atropellan a un perro en Querétaro y lo trasladan al Edomex para su recuperación; piden apoyo
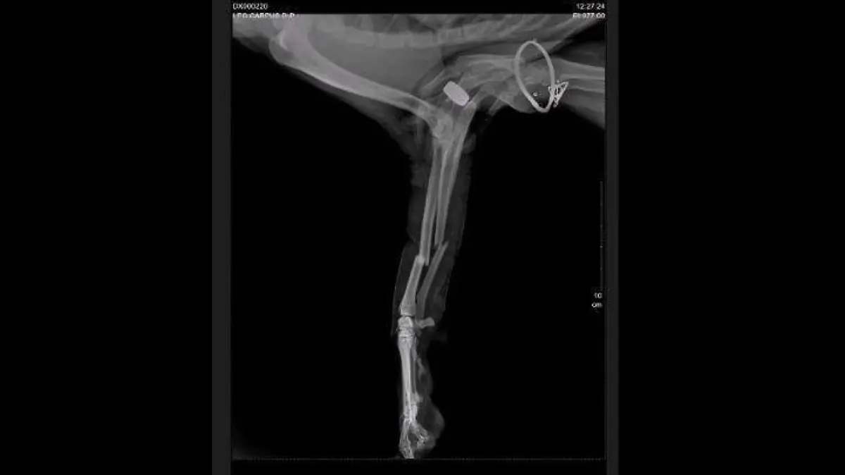
Un automovilista lo trasladó a una veterinaria ubicada en el municipio de Metepec para realizarle estudios; el canino presenta fractura de cúbito y radio por lo que necesita ser operado de urgencia
Jaime Moreno / El Sol de Toluca


























